
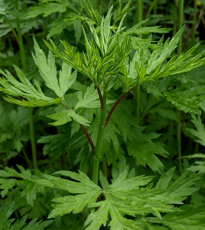
국화과의 여러해살이풀. 줄기는 곧추 서고 가지를 많이 치며 높이는 1.5m안팎이며 흔히 보라색을 띤다. 잎은 어긋나게 붙고 잎꼭지는 길다. 잎몸은 두번 깃모양으로 깊게 갈라 지며 그 갈래쪼각은 버들잎모양이며 끝이 뾰족하다. 잎웃면은 풀색이며 뒤면에 흰 솜털이 빽빽이 있다. 8~10월경 줄기웃부분가지끝에 연한 밤색의 꽃들이 머리모양꽃차례를 이루며 고깔꽃차례모양으로 배치된다. 머리모양꽃차례는 닭알모양이고 직경은 2mm이다. 꽃싼잎은 풀색이고 기와이은 모양으로 줄지어 있으며 겉면에 솜털이 빽빽이 있다. 열매는 여윈열매이다.